Moscow: Russia has sent several fighter planes including fourth-generation jets and a transport helicopter to reinforce its air base in Armenia near the...
Moscow: Russia has sent several fighter planes including fourth-generation jets and a transport helicopter to reinforce its air base in Armenia near the...
Rami Jarrah. source: facebook Beirut: A Syrian journalist detained in Turkey said Saturday he has been freed, a day after media groups urged...
A woman walks past a Ugandan soldier and election posters after the military were called in to handle protests in Kampala on February...
File picture from the Smart City Pavilion Launch. Source:smartcity.ae Kochi: The first phase of Kochi Smart City project - a 6.5 lakh square...
File-photo-Reuters Hebron: Israeli occupation forces detained a Palestinian child in the West Bank city of Hebron on Saturday. Palestinian sources said that the...
Islamabad: Pakistan says it is sending a probe team to India next month to collect evidence on the alleged involvement of Jaish-e-Mohammad (JeM)...
Moscow: Russia said Saturday it regretted the rejection of its draft resolution at the United Nations calling for Turkey to cease military action...
Indian Prime Minister Narendra Modi (R) and Nepalese Prime Minister KP Oli arrive for a meeting prior to delegation-level talks and agreement signing...
Belgrade: A US strike on an Islamic State jihadist camp in Libya killed two Serbian embassy employees who were kidnapped in the area...
Rohtak/Chandigarh: Army columns conducted flag marches at various places in violence-hit districts of Haryana on Saturday as security forces grappled with the tense...
Shanghai: A Chinese court in Beijing has jailed 15 hospital "scalpers" for allegedly scamming unsuspecting patients by posing as medical staff without qualifications,...
Zimbabwe's President Robert Mugabe talks to his wife Grace before addressing the ZANU-PF party's top decision making body, the Politburo, in the capital...
Uganda's President Yoweri Museveni (R) casts his ballot as he votes in parliamentary and presidential elections at a polling station in Nshwere, on...
ADEN: Dozens of al Qaeda militants took control of the southern Yemeni town of Ahwar on Saturday, residents said, consolidating the group's control...
DERA ISMAIL KHAN, Pakistan: Militants blew up part of a newly constructed government school in Pakistan's South Waziristan region late Friday night, a ...
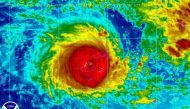
A handout picture provided by the National Oceanic and Atmospheric Administration (NOAA) shows Cyclone Winston over Fiji, 20 February 2016. EPA/NOAA/HANDOUT By Peter...
A file photo shows members of the Pakistani Frontier Corps. AFP Islamabad: Pakistani security forces Saturday killed at least five militants in a...
JOHANNESBURG: South Africa confirmed its first case of the mosquito-borne Zika virus in a Columbian man, health authorities said. The virus, which is...